casa-a schiera
Montefalcone nel Sannio,
1914/00/00 post - 1914/00/00 ante
- OGGETTO casa-a schiera
- AMBITO CULTURALE Maestranze Novecentesche
- LOCALIZZAZIONE Montefalcone nel Sannio (CB) - Molise , ITALIA
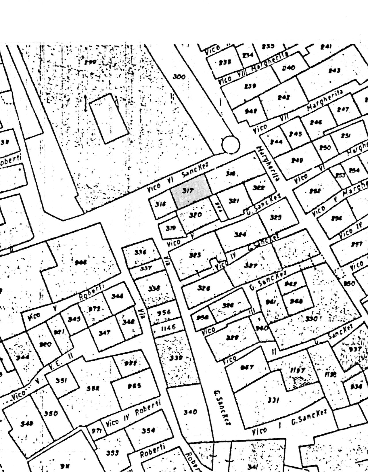
- INDIRIZZO Vico VI Sanckez 4, Montefalcone nel Sannio (CB)
- TIPOLOGIA SCHEDA Architettura
-
CONDIZIONE GIURIDICA
proprietà privata
- CODICE DI CATALOGO NAZIONALE 1400019203
- ENTE COMPETENTE PER LA TUTELA Soprintendenza per i Beni Architettonici e Paesaggistici del Molise
- ENTE SCHEDATORE Soprintendenza per i Beni Architettonici e Paesaggistici del Molise
- DATA DI COMPILAZIONE 1993
-
DATA DI AGGIORNAMENTO
2017
-
DOCUMENTAZIONE GRAFICA
planimetria catastale (1)
- LICENZA METADATI CC-BY 4.0