Catalogo generale
dei Beni Culturali
Cat-IA
Ricerca
invia
ricerca avanzata
catalogo
•
esito ricerca
16 risultati
ca 40 d.C - ca 70 d.C
Necropoli di Albintimilium, area ad ovest recinto G, tomba 69 (tomba a incinerazione con urna in anfora, area ad uso funerario) - Ventimiglia (IM) (metà Età romana imperiale)
Necropoli di Albintimilium, Recinto B, tomba 18 (tomba a incinerazione in anfora senza urna, area ad uso funerario) - Ventimiglia (IM) (metà Età romana imperiale)
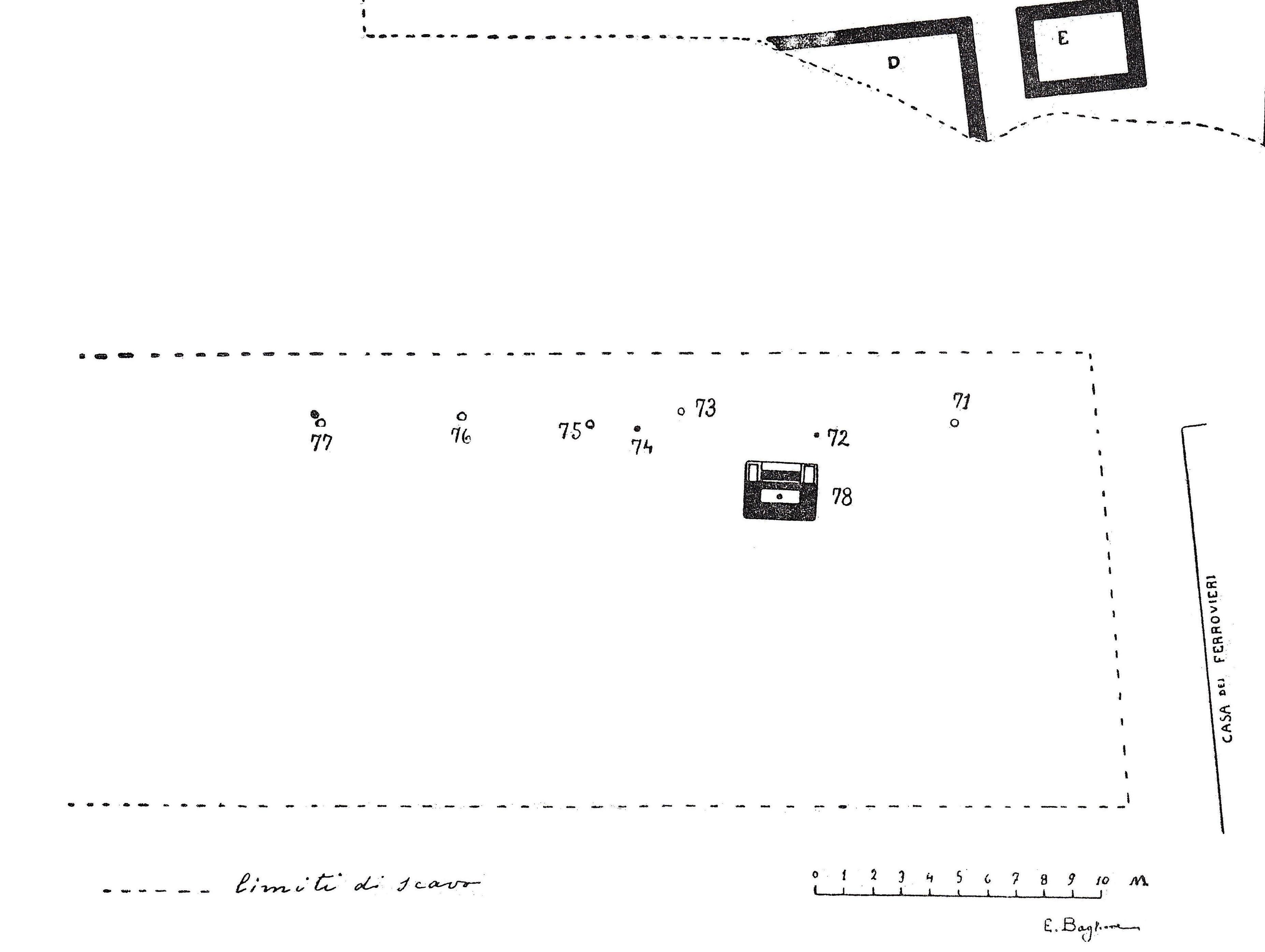
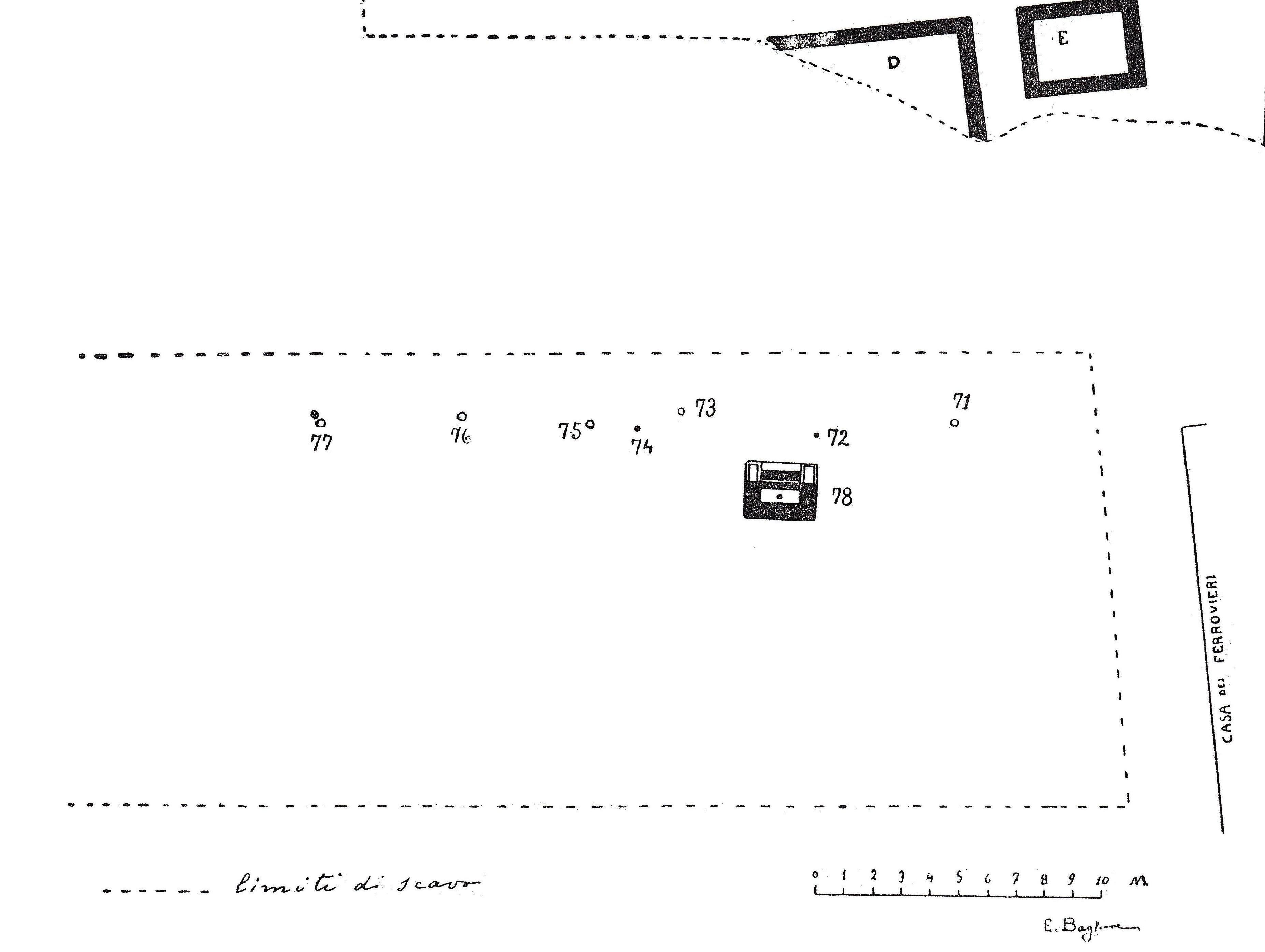
Necropoli di Albintimilium, area a sud recinti D-E, tomba 72 (tomba a incinerazione, area ad uso funerario) - Ventimiglia (IM) (metà Età romana imperiale)
Necropoli di Albintimilium, tomba 91 (tomba a incinerazione in pozzetto con urna, area ad uso funerario) - Ventimiglia (IM) (metà Età romana imperiale)
Necropoli di Albintimilium, Recinto B, tomba 13 (tomba a incinerazione in anfora senza urna, area ad uso funerario) - Ventimiglia (IM) (metà Età romana imperiale)
Necropoli di Albintimilium, recinto D, tomba 41 (tomba a incinerazione in cassa laterizia, area ad uso funerario) - Ventimiglia (IM) (metà Età romana imperiale)
Necropoli di Albintimilium, tomba 70 (tomba a incinerazione in cassa laterizia, area ad uso funerario) - Ventimiglia (IM) (metà Età romana imperiale)
Necropoli di Albintimilium, area a sud recinti D-E, tomba 71 (tomba a incinerazione in pozzetto con urna, area ad uso funerario) - Ventimiglia (IM) (metà Età romana imperiale)
Necropoli di Albintimilium, area a sud recinti D-E, tomba 76 (tomba a incinerazione in pozzetto con urna, area ad uso funerario) - Ventimiglia (IM) (metà Età romana imperiale)
Necropoli di Albintimilium, area a sud recinti D-E, tomba 77 (tomba a incinerazione, area ad uso funerario) - Ventimiglia (IM) (metà Età romana imperiale)
Necropoli di Albintimilium, tomba 92 (tomba a incinerazione in pozzetto con urna, area ad uso funerario) - Ventimiglia (IM) (metà Età romana imperiale)
Necropoli di Albintimilium, tomba 93 (tomba a incinerazione in pozzetto con urna, area ad uso funerario) - Ventimiglia (IM) (metà Età romana imperiale)
Next →
filtri
filtra
ricerca avanzata >
raffina
solo risultati con immagini
solo risultati con immagini
categoria
Bene immobile
13
Bene mobile
3
settore
Beni archeologici
16
tipologia
Monumenti archeologici
13
Reperti archeologici
3
regione
Liguria
13
fonte dei dati
Catalogo ICCD
13
Regione Veneto
3
classificazione
classificazione
comune
comune
luogo della cultura
luogo della cultura
localizzazione
localizzazione
RIMANI AGGIORNATO
SEGUICI
Iscriviti alla nostra newsletter >
iccd.cultura.gov.it
dati.cultura.gov.it
scenedaunpatrimonio
.cultura.gov.it
Per catalogare
Progetto
Termini d'uso
Contatti
Credits