Idrovora Bonelli

1952/00/00 - 1952/00/00

edificio a più volumi rettangolari con murature continue in laterizio a vista, forometria regolare seriale e copertura a più falde in coppi di laterizio. Presente torretta angolare con stesse caratteristiche costruttive del corpo principale ma con copertura a terrazza e parapetto pieno.

  • FONTE DEI DATI Regione Veneto
  • OGGETTO idrovora
  • AMBITO CULTURALE Ambito Rodigino Basso Polesano Periodo Seconda Metà Del Novecento
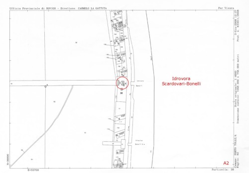
  • LOCALIZZAZIONE Italia VENETO RO PORTO TOLLE Scardovari Isola della Donzella Via del mare L'idrovora Scardovari sorge a ridosso dell'argine destro del Po delle Tolle, lungo la Strada Provinciale n°38, meno di due chilometri più a sud del centro abitato di Scardovari.
  • TIPOLOGIA SCHEDA Architettura
  • CONDIZIONE GIURIDICA proprietà Stato
  • ENTE COMPETENTE PER LA TUTELA S73
  • ENTE SCHEDATORE Regione Veneto
  • DATA DI COMPILAZIONE 2009
  • LICENZA METADATI CC-BY 4.0

ALTRE OPERE DELLO STESSO PERIODO - 1952/00/00 - 1952/00/00

ALTRE OPERE DELLO STESSO AMBITO CULTURALE

ALTRE OPERE DELLO STESSO AMBITO CULTURALE