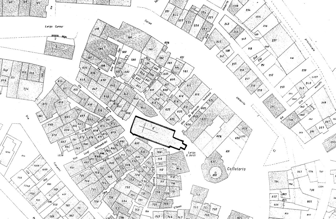
Chiesa di San Giovanni Battista
Colletorto,
1730/00/00 post - 1730/00/00 ante
- OGGETTO chiesa-parrocchiale
- AMBITO CULTURALE Maestranze Settecentesche
- LOCALIZZAZIONE Colletorto (CB) - Molise , ITALIA
- INDIRIZZO Largo Verdi, Colletorto (CB)
- TIPOLOGIA SCHEDA Architettura
-
CONDIZIONE GIURIDICA
proprietà Ente religioso cattolico
- CODICE DI CATALOGO NAZIONALE 1400075723
- ENTE COMPETENTE PER LA TUTELA Soprintendenza per i Beni Architettonici e Paesaggistici del Molise
- ENTE SCHEDATORE Soprintendenza per i Beni Architettonici e Paesaggistici del Molise
- DATA DI COMPILAZIONE 2001
-
DATA DI AGGIORNAMENTO
2018
-
DOCUMENTAZIONE GRAFICA
planimetria catastale (1)
- LICENZA METADATI CC-BY 4.0