Sant'Alfonso de' Liguori
Colletorto,
1729/00/00 post - 1729/00/00 ante
- OGGETTO convento-francescano
- AMBITO CULTURALE Maestranze Settecentesche
- LOCALIZZAZIONE Colletorto (CB) - Molise , ITALIA
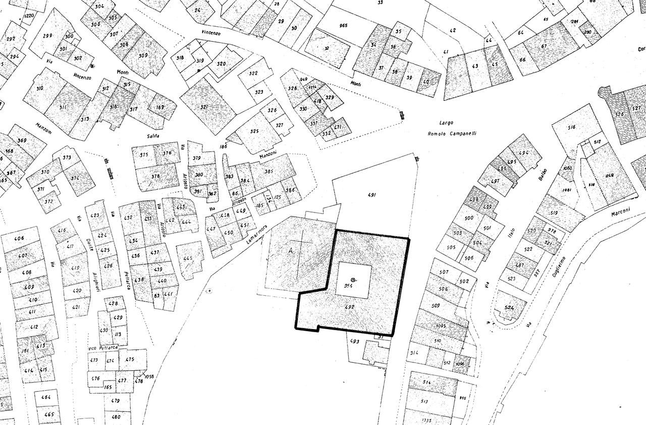
- INDIRIZZO Largo Romolo Campanelli 18, 17, Colletorto (CB)
- TIPOLOGIA SCHEDA Architettura
-
CONDIZIONE GIURIDICA
detenzione persona giuridica senza scopo di lucro
- CODICE DI CATALOGO NAZIONALE 1400075720
- ENTE COMPETENTE PER LA TUTELA Soprintendenza per i Beni Architettonici e Paesaggistici del Molise
- ENTE SCHEDATORE Soprintendenza per i Beni Architettonici e Paesaggistici del Molise
- DATA DI COMPILAZIONE 2001
-
DATA DI AGGIORNAMENTO
2018
-
DOCUMENTAZIONE GRAFICA
planimetria catastale (1)
- LICENZA METADATI CC-BY 4.0