casa-a schiera
Pesche,
post seconda metà XIX - ante inizio-XX
L’edificio è in pianta di forma pressoché irregolare e si sviluppa su tre livelli di piano di cui uno seminterrato. Il disimpegno verticale è affidato ad una scala esterna per il primo piano e da una scala interna per il secondo piano. La facciata principale rivela un processo di adattamento della modesta abitazione contadina al gusto ottocentesco: due porte con arco ribassato allineate con le porte finestre del piano superiore aperte su un balcone ed un portale laterale, su una scala esterna, con cornice in pietra modanata ed arco a tutto sesto. La muratura portante è in pietrame del tipo a sacco intonacata e la copertura è del tipo a falde a coronamento un cornicione lineare
- OGGETTO casa-a schiera
- AMBITO CULTURALE Maestranze Ottocentesche
- LOCALIZZAZIONE Pesche (IS) - Molise , ITALIA
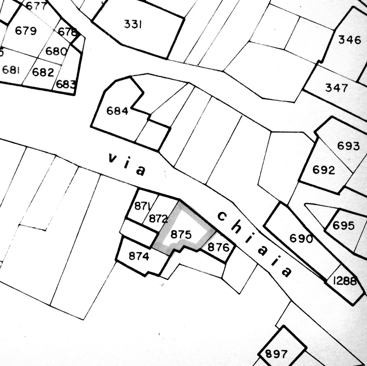
- INDIRIZZO Via Chiaia, Pesche (IS)
- TIPOLOGIA SCHEDA Architettura
-
CONDIZIONE GIURIDICA
proprietà privata
- CODICE DI CATALOGO NAZIONALE 1400075428
- ENTE COMPETENTE PER LA TUTELA Soprintendenza per i Beni Architettonici e Paesaggistici del Molise
- ENTE SCHEDATORE Soprintendenza per i Beni Architettonici e Paesaggistici del Molise
- DATA DI COMPILAZIONE 1982
-
DOCUMENTAZIONE ALLEGATA
scheda catalogo (1)
-
DOCUMENTAZIONE GRAFICA
planimetria catastale (1)
planimetria catastale (2)
planimetria catastale (3)
- LICENZA METADATI CC-BY 4.0