palazzo-residenziale plurifamiliare
Campobasso,
post prima metà XX - ante prima metà-XX
Nell'immobile dodici unità abitative, un negozio, quattro depositi e due uffici
- OGGETTO palazzo-residenziale plurifamiliare
- AMBITO CULTURALE Maestranze Novecentesche
- LOCALIZZAZIONE Campobasso (CB) - Molise , ITALIA
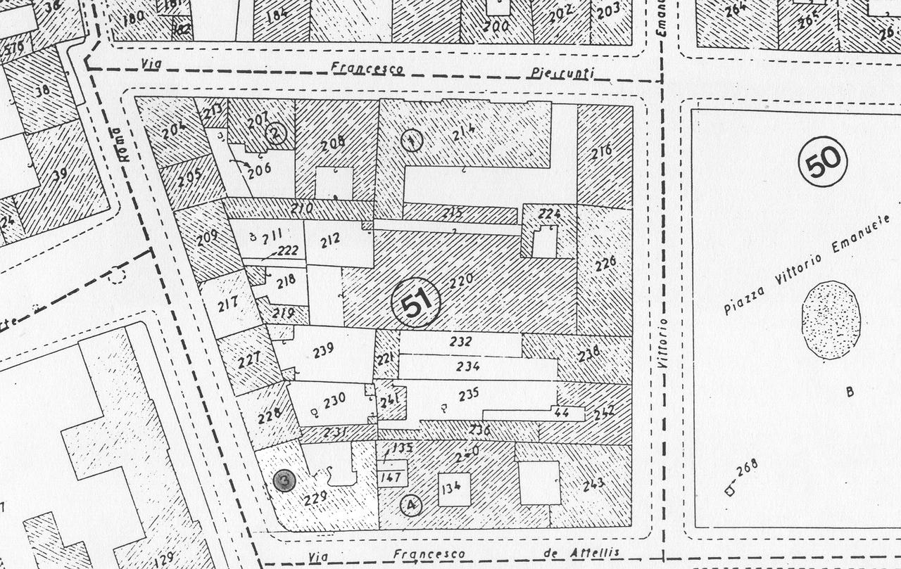
- INDIRIZZO Via Roma 68, Campobasso (CB)
- TIPOLOGIA SCHEDA Architettura
-
CONDIZIONE GIURIDICA
proprietà privata
- CODICE DI CATALOGO NAZIONALE 1400020141
- ENTE COMPETENTE PER LA TUTELA Soprintendenza per i Beni Architettonici e Paesaggistici del Molise
- ENTE SCHEDATORE Soprintendenza per i Beni Architettonici e Paesaggistici del Molise
- DATA DI COMPILAZIONE 1995
-
DATA DI AGGIORNAMENTO
2017
-
DOCUMENTAZIONE GRAFICA
planimetria catastale (1)
- LICENZA METADATI CC-BY 4.0