Palazzo Cariello
Termoli,
1847/00/00 post -
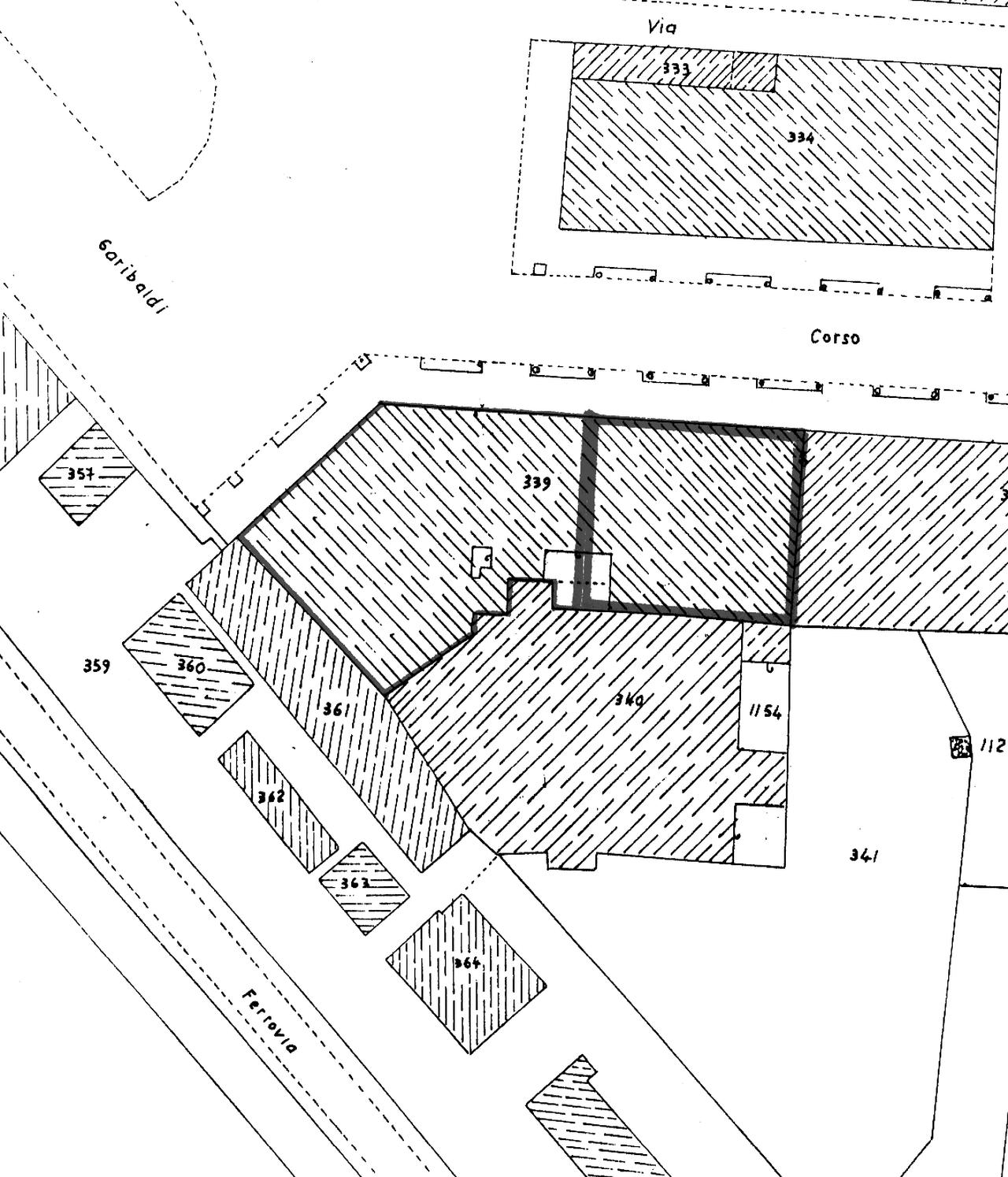
Edificio a pianta poligonale, per raccordarsi Est con il complesso della stazione ferroviaria, a tre livelli con muratura in pietra intonacata, volte a crociera al p.t e solai in ferro e voltine; copertura a tre falde e manto in coppi. Fronte principale caratterizzato da due portali alle estremità e da alternanza di balconi e finestre incorniciate ai due piani superiori. Cornicione di coronamento modanato in muratura intonacata. Nell'immobile dodici unità abitative, cinque negozi, due dpositi ed una rimessa
- OGGETTO palazzo-residenziale, plurifamiliare
- AMBITO CULTURALE Maestranze Ottocentesche
- LOCALIZZAZIONE Termoli (CB) - Molise , ITALIA
- INDIRIZZO Corso Umberto I 3, 5, 7, 9, 11, 13, 17, 21, Termoli (CB)
- TIPOLOGIA SCHEDA Architettura
-
CONDIZIONE GIURIDICA
proprietà privata
- CODICE DI CATALOGO NAZIONALE 1400018670
- ENTE COMPETENTE PER LA TUTELA Soprintendenza per i Beni Architettonici e Paesaggistici del Molise
- ENTE SCHEDATORE Soprintendenza per i Beni Architettonici e Paesaggistici del Molise
- DATA DI COMPILAZIONE 1994
-
DATA DI AGGIORNAMENTO
2017
-
DOCUMENTAZIONE GRAFICA
planimetria catastale (1)
- LICENZA METADATI CC-BY 4.0