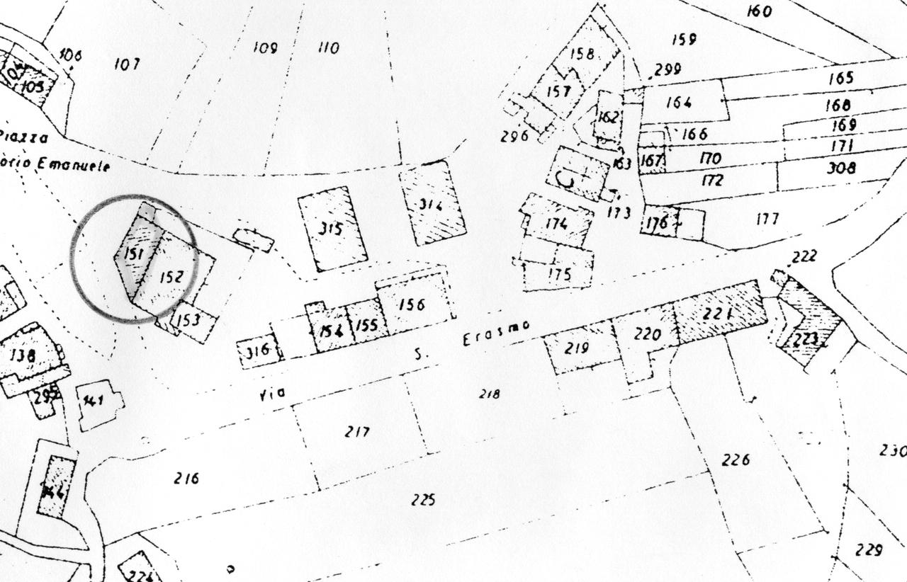
casa-a blocco
Rocchetta a Volturno,
post inizio XIX - ante fine-XIX
- OGGETTO casa-a blocco
- AMBITO CULTURALE Maestranze Ottocentesche
- LOCALIZZAZIONE Rocchetta a Volturno (IS) - Molise , ITALIA
- INDIRIZZO Piazza Vittorio Emanuele II, Rocchetta a Volturno (IS)
- TIPOLOGIA SCHEDA Architettura
-
CONDIZIONE GIURIDICA
proprietà privata
- CODICE DI CATALOGO NAZIONALE 1400018538
- ENTE COMPETENTE PER LA TUTELA Soprintendenza per i Beni Architettonici e Paesaggistici del Molise
- ENTE SCHEDATORE Soprintendenza per i Beni Architettonici e Paesaggistici del Molise
- DATA DI COMPILAZIONE 1994
-
DATA DI AGGIORNAMENTO
2018
-
DOCUMENTAZIONE GRAFICA
planimetria catastale (1)
- LICENZA METADATI CC-BY 4.0