casa-a schiera
Agnone,
post inizio XIX - ante metà-XIX
L’edificio in pianta di forma rettangolare sviluppa su tre livelli di piano, la muratura portante è in pietra ed è intonacata; la copertura è a due falde e termina con un cornicione lineare
- OGGETTO casa-a schiera
- AMBITO CULTURALE Maestranze Ottocentesche
- LOCALIZZAZIONE Agnone (IS) - Molise , ITALIA
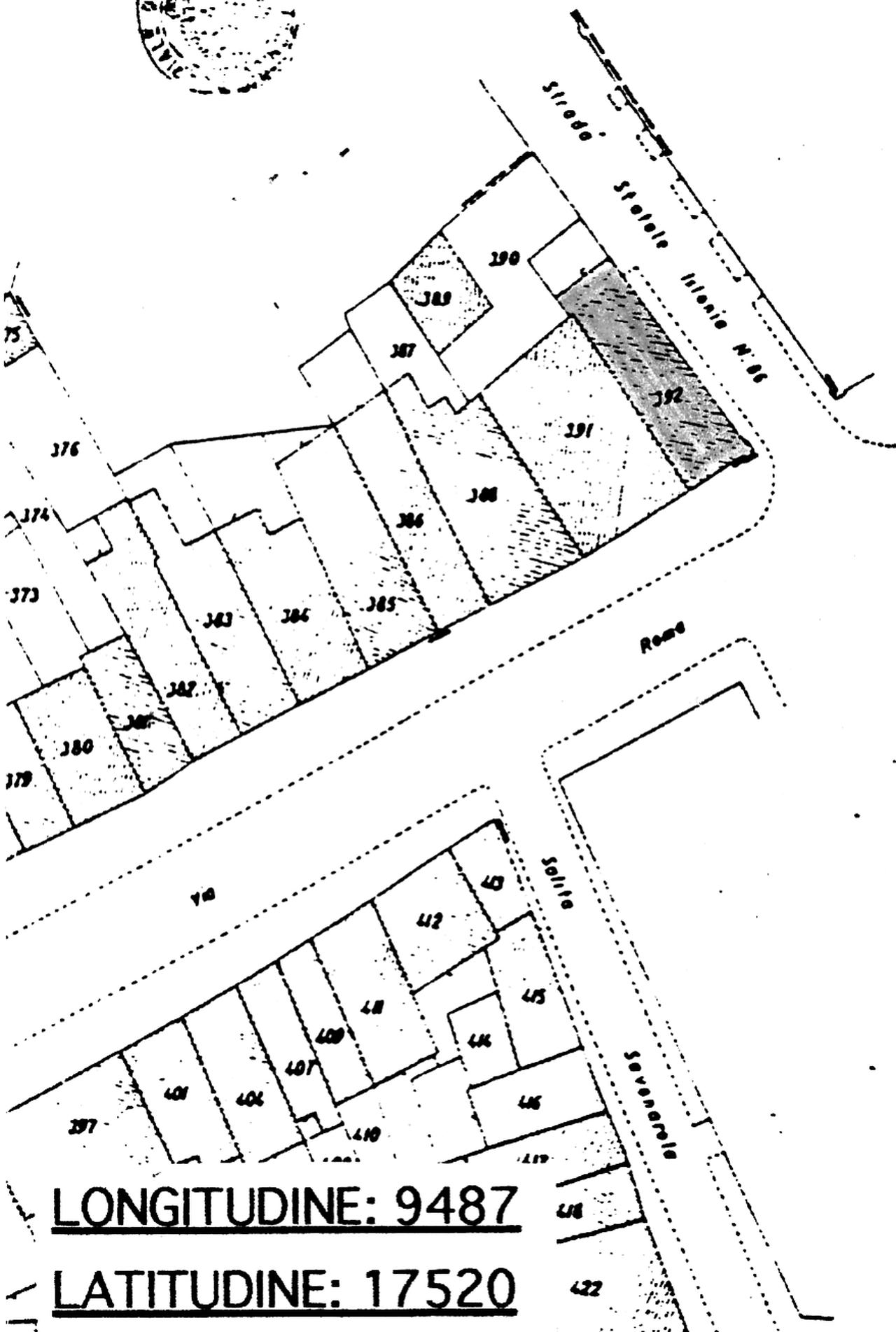
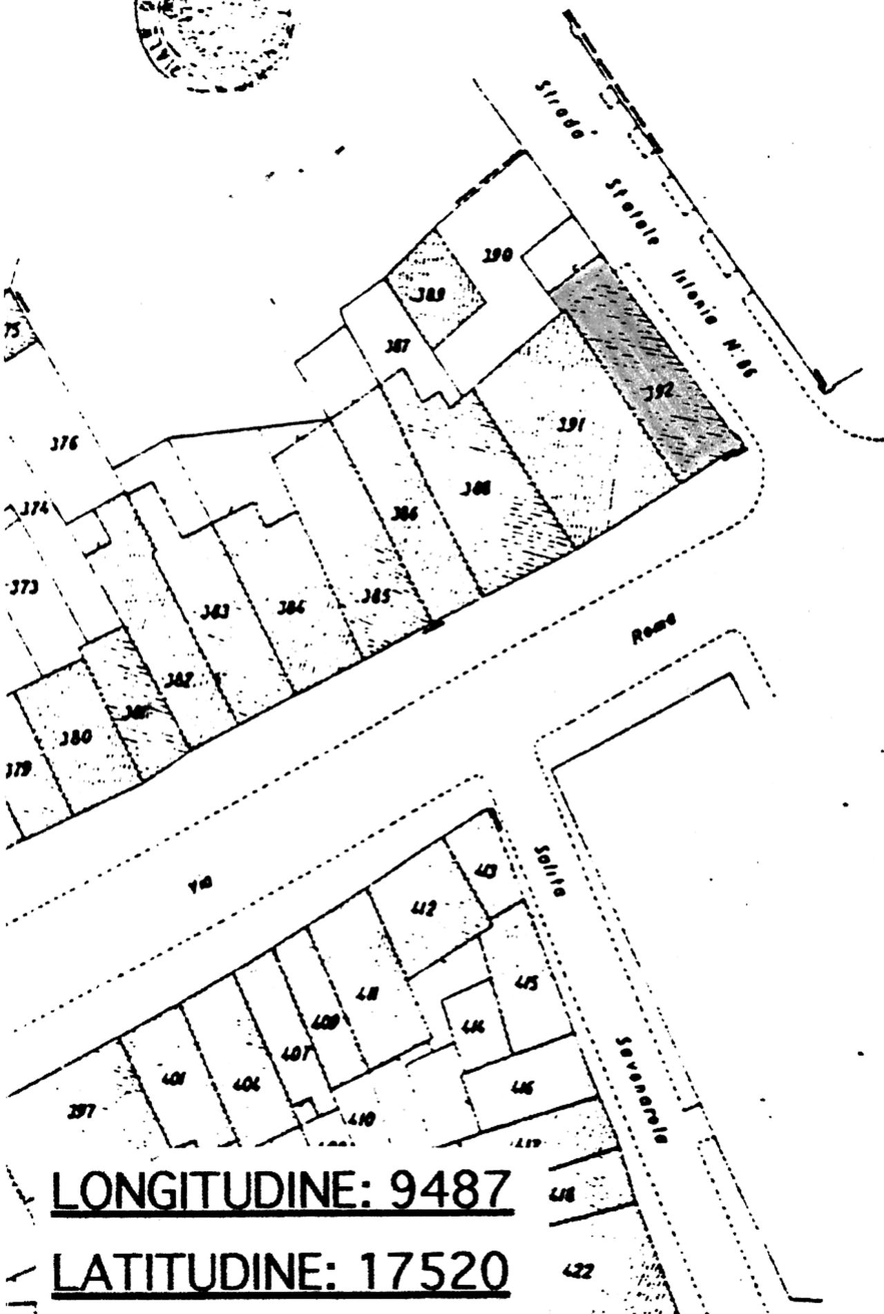
- INDIRIZZO Via Roma, Agnone (IS)
- TIPOLOGIA SCHEDA Architettura
-
CONDIZIONE GIURIDICA
proprietà privata
- CODICE DI CATALOGO NAZIONALE 1400018159
- ENTE COMPETENTE PER LA TUTELA Soprintendenza per i Beni Architettonici e Paesaggistici del Molise
- ENTE SCHEDATORE Soprintendenza per i Beni Architettonici e Paesaggistici del Molise
- DATA DI COMPILAZIONE 1993
-
DATA DI AGGIORNAMENTO
2018
-
DOCUMENTAZIONE GRAFICA
planimetria catastale (1)
- LICENZA METADATI CC-BY 4.0