casa-a schiera
Agnone,
post fine XVIII - ante fine-XVIII
L’edificio in pianta irregolare si sviluppa su tre livelli di piano, la muratura portante è in pietra ed è intonacata; la copertura è a due falde e termina con un cornicione alla romanella. Sulla facciata principale un portale in pietra con arco a tutto sesto e chiave di volta raffigurante uno stemma con motivi floreali e una mano che regge una chiave
- OGGETTO casa-a schiera
- AMBITO CULTURALE Maestranze Settecentesche
- LOCALIZZAZIONE Agnone (IS) - Molise , ITALIA
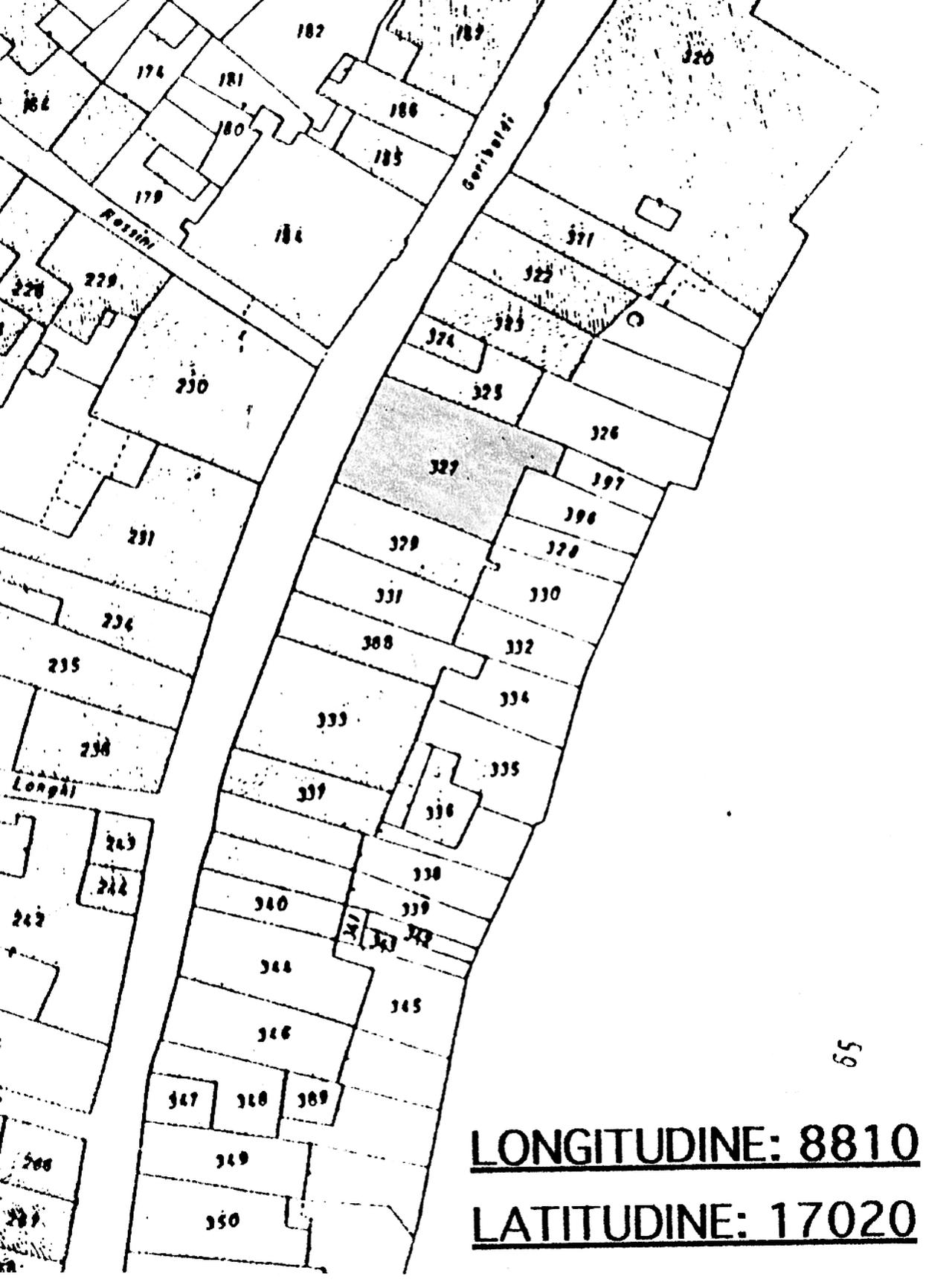
- INDIRIZZO Corso Garibaldi, 69, Agnone (IS)
- TIPOLOGIA SCHEDA Architettura
-
CONDIZIONE GIURIDICA
proprietà privata
- CODICE DI CATALOGO NAZIONALE 1400018100
- ENTE COMPETENTE PER LA TUTELA Soprintendenza per i Beni Architettonici e Paesaggistici del Molise
- ENTE SCHEDATORE Soprintendenza per i Beni Architettonici e Paesaggistici del Molise
- DATA DI COMPILAZIONE 1993
-
DATA DI AGGIORNAMENTO
2018
-
DOCUMENTAZIONE GRAFICA
planimetria catastale (1)
- LICENZA METADATI CC-BY 4.0