Palazzo Giustiniani-Odescalchi
Bassano Romano,
ca fine XVI - ca fine-XVI
- OGGETTO palazzo-baronale
- AMBITO CULTURALE Manierismo Romano
- LOCALIZZAZIONE Bassano Romano (VT) - Lazio , ITALIA
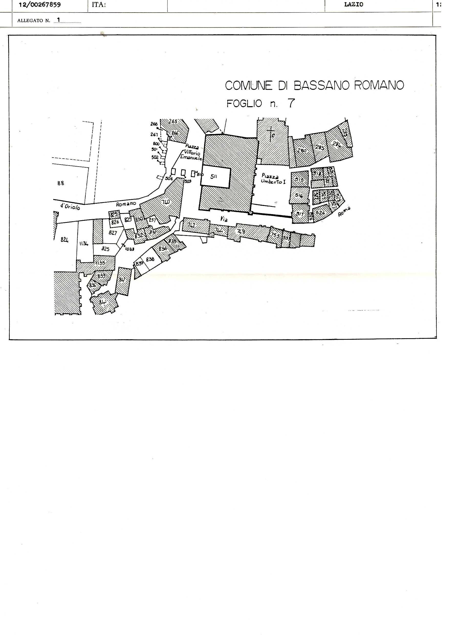
- INDIRIZZO piazza Vittorio Emanuele, Bassano Romano (VT)
- TIPOLOGIA SCHEDA Architettura
-
CONDIZIONE GIURIDICA
proprietà Stato
- CODICE DI CATALOGO NAZIONALE 1200267858
- ENTE COMPETENTE PER LA TUTELA Soprintendenza Archeologia, belle arti e paesaggio per l’area metropolitana di Roma, la provincia di Viterbo e l’Etruria meridionale
- ENTE SCHEDATORE Soprintendenza Archeologia, belle arti e paesaggio per l’area metropolitana di Roma, la provincia di Viterbo e l’Etruria meridionale
- DATA DI COMPILAZIONE 1993
-
DATA DI AGGIORNAMENTO
2020
-
DOCUMENTAZIONE ALLEGATA
Copia cartacea della scheda di catalogo (1)
Copia cartacea della scheda di catalogo (2)
-
DOCUMENTAZIONE GRAFICA
estratto di mappa catastale (1)
estratto di mappa catastale (2)
estratto di mappa catastale (3)
estratto di mappa catastale (4)
- LICENZA METADATI CC-BY 4.0