Casa torre medievale
Siena,
fine XIII - fine-XIII
- OGGETTO casa torre
- AMBITO CULTURALE Gotico Primitivo Maestranze Locali
- LOCALIZZAZIONE Siena (SI) - Toscana , ITALIA
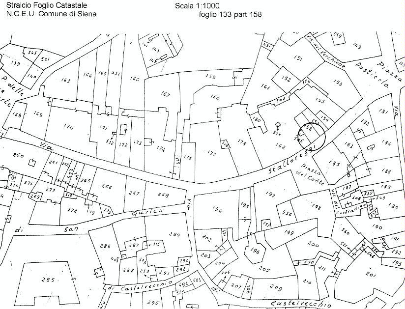
- INDIRIZZO via Stalloreggi, 14, 16, Siena (SI)
- TIPOLOGIA SCHEDA Architettura
-
CONDIZIONE GIURIDICA
proprietà privata
- CODICE DI CATALOGO NAZIONALE 0900403273
- ENTE COMPETENTE PER LA TUTELA Soprintendenza Archeologia, belle arti e paesaggio per le province di Siena, Grosseto e Arezzo
- ENTE SCHEDATORE Soprintendenza per i Beni Architettonici e Paesaggistici per le province di Siena e Grosseto
- DATA DI COMPILAZIONE 1995
-
DATA DI AGGIORNAMENTO
2015
-
DOCUMENTAZIONE GRAFICA
mappa catastale (1)
- LICENZA METADATI CC-BY 4.0