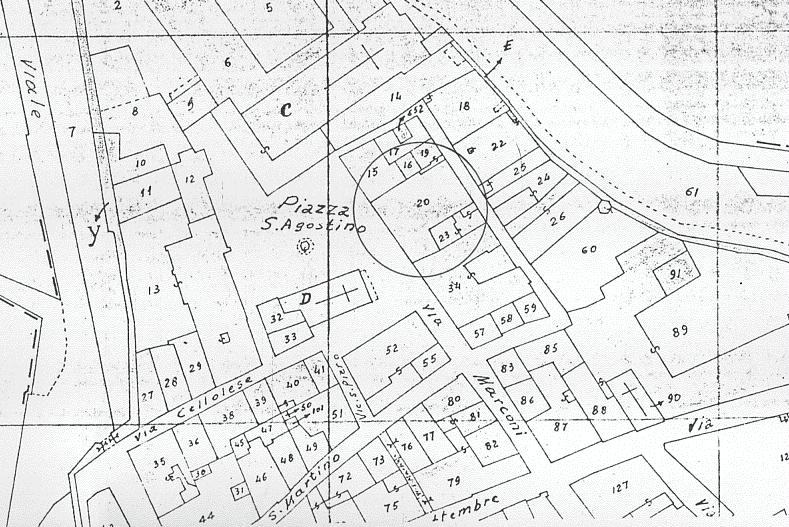
EDIFICIO IN PIAZZA SANT'AGOSTINO, 15/16/17
San Gimignano,
ca fine XIII - ca inizio-XIV
Edificio che si sviluppa su tre piani fuori terra; strutture verticali in laterizio e pietra arenaria; copertura a tetto con manto in laterizio
- OGGETTO abitazione
- AMBITO CULTURALE Maestranze Locali
- LOCALIZZAZIONE San Gimignano (SI) - Toscana , ITALIA
- INDIRIZZO Piazza Sant'Agostino, 15/16/17, San Gimignano (SI)
- TIPOLOGIA SCHEDA Architettura
-
CONDIZIONE GIURIDICA
proprietà privata
- CODICE DI CATALOGO NAZIONALE 0900384848
- ENTE COMPETENTE PER LA TUTELA Soprintendenza Archeologia, belle arti e paesaggio per le province di Siena, Grosseto e Arezzo
- ENTE SCHEDATORE Soprintendenza Archeologia, belle arti e paesaggio per le province di Siena, Grosseto e Arezzo
- DATA DI COMPILAZIONE 1994
-
DATA DI AGGIORNAMENTO
2018
-
DOCUMENTAZIONE GRAFICA
estratto mappa catastale (1)
- LICENZA METADATI CC-BY 4.0