convento agostiniane
Modigliana,
1548/00/00 - 1548/00/00
- OGGETTO convento
- AMBITO CULTURALE Architettura Del Xvi Secolo
-
ATTRIBUZIONI
Aleotti Gian Battista Detto L'argenta (1546/1636): rifacimento
- LOCALIZZAZIONE Modigliana (FC) - Emilia Romagna , ITALIA
- INDIRIZZO via Amendola 41, Modigliana (FC)
- TIPOLOGIA SCHEDA Architettura
-
CONDIZIONE GIURIDICA
proprietà Ente religioso cattolico
- CODICE DI CATALOGO NAZIONALE 0800309038-bene componente
- ENTE COMPETENTE PER LA TUTELA Soprintendenza Archeologia, belle arti e paesaggio per le province di Ravenna, Forlì-Cesena e Rimini
- ENTE SCHEDATORE Soprintendenza per i Beni Architettonici e Paesaggistici per le province di Ravenna Ferrara Forli'-Cesena e Rimini
- DATA DI COMPILAZIONE 1996
-
DATA DI AGGIORNAMENTO
2017
-
DOCUMENTAZIONE ALLEGATA
scheda catalografica (1)
-
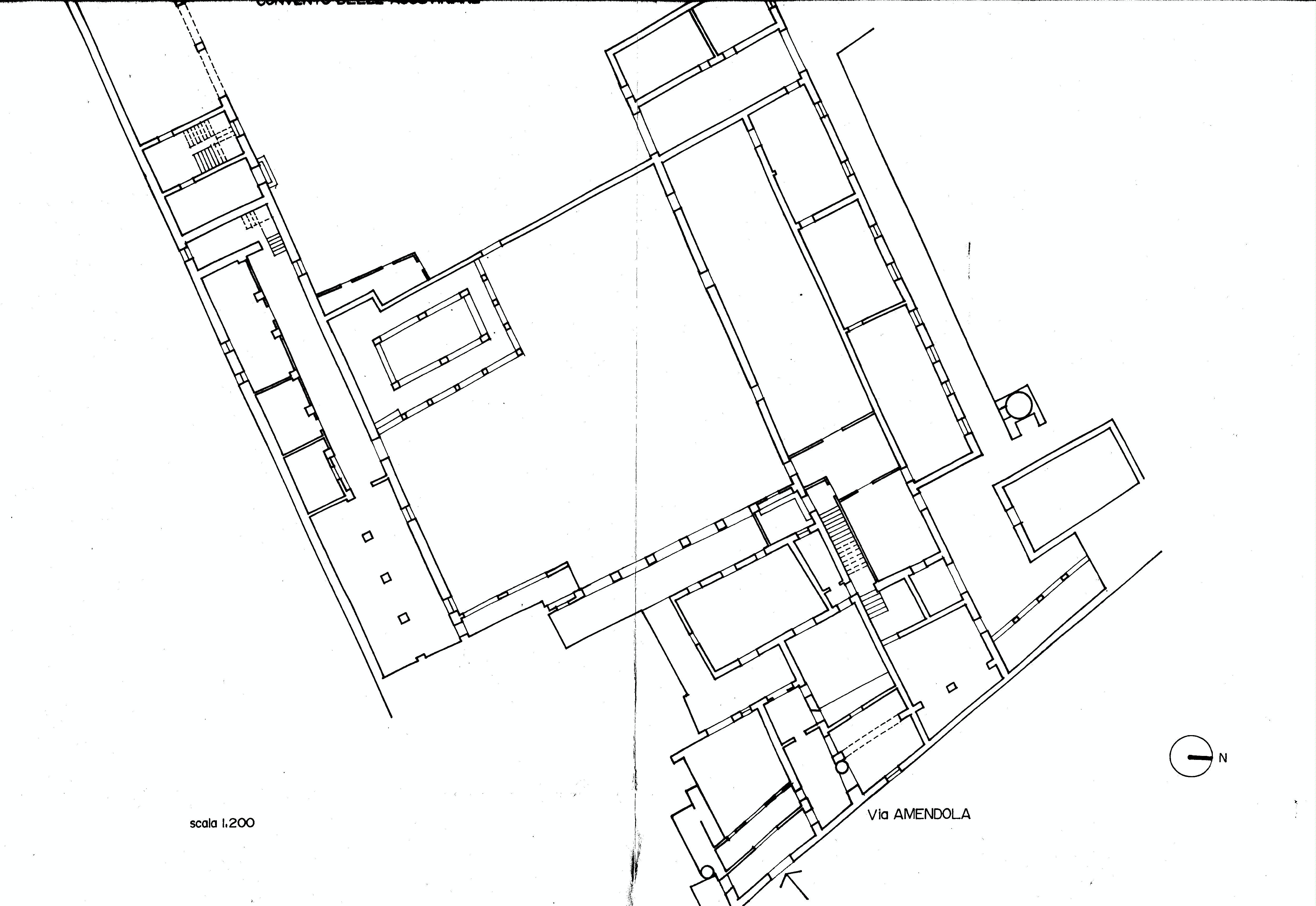
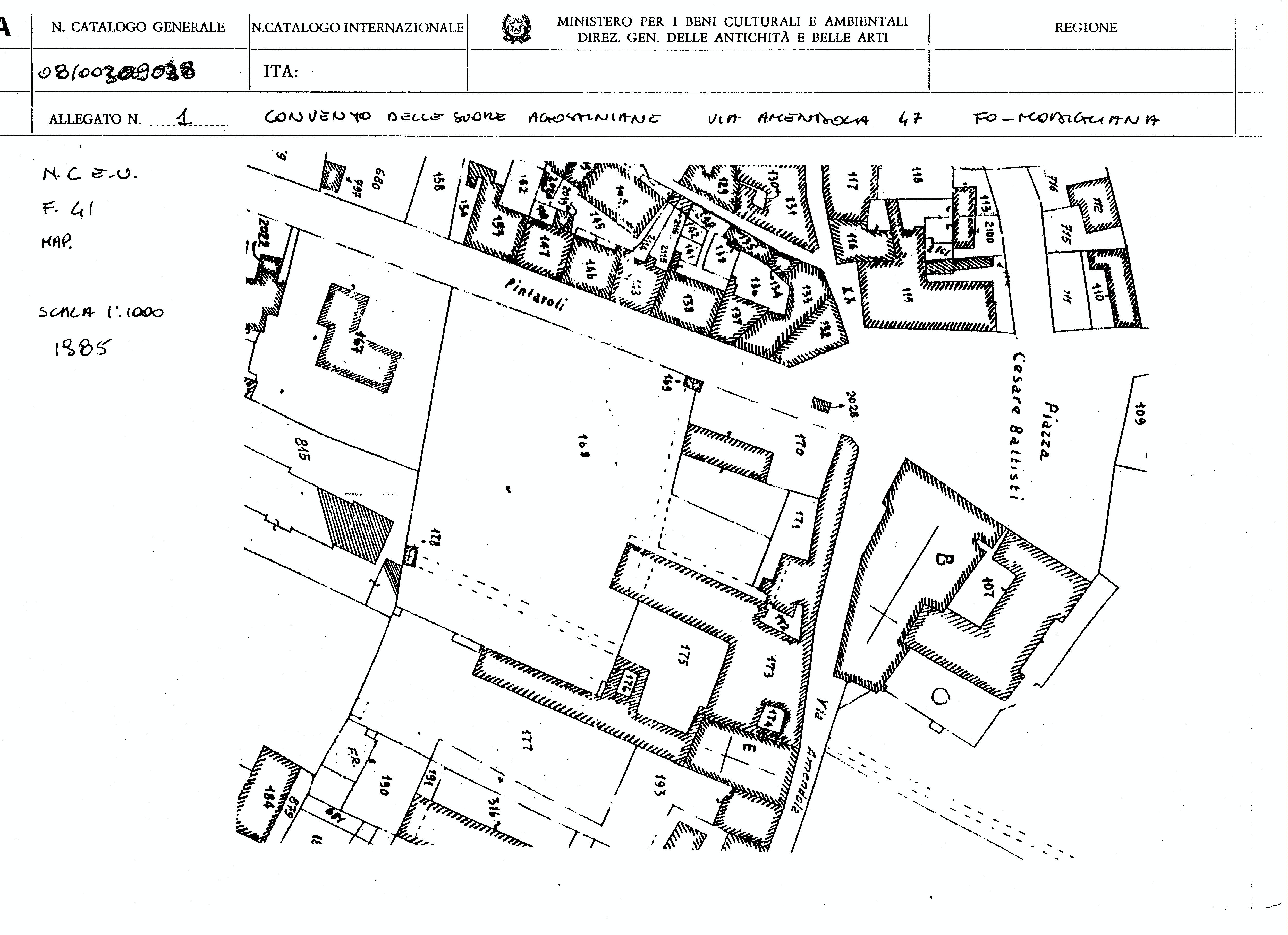
DOCUMENTAZIONE GRAFICA
riproduzione mappa catastale (1)
riproduzione mappa catastale (2)
- LICENZA METADATI CC-BY 4.0