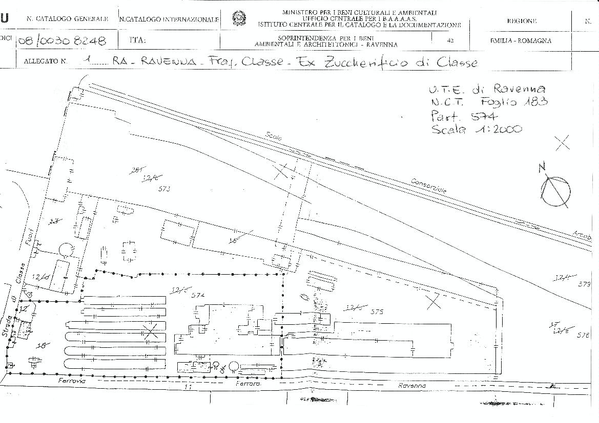
Ex zuccherificio di Classe
Ravenna,
1899/00/00 post - 1900/00/00 ante
Valbusa Tito (attribuito)
notizie 1899/ 1900
- OGGETTO complesso industriale
- AMBITO CULTURALE Epoca Moderna
-
ATTRIBUZIONI
Valbusa Tito (attribuito): costruzione
- LOCALIZZAZIONE Ravenna (RA) - Emilia Romagna , ITALIA
- INDIRIZZO Via di Classe Fuori, 0(P), Ravenna (RA)
- TIPOLOGIA SCHEDA Architettura
-
CONDIZIONE GIURIDICA
proprietà Ente pubblico territoriale
- CODICE DI CATALOGO NAZIONALE 0800308248
- ENTE COMPETENTE PER LA TUTELA Soprintendenza Archeologia, belle arti e paesaggio per le province di Ravenna, Forlì-Cesena e Rimini
- ENTE SCHEDATORE Soprintendenza per i Beni Architettonici e Paesaggistici per le province di Ravenna Ferrara Forli'-Cesena e Rimini
- DATA DI COMPILAZIONE 2002
-
DATA DI AGGIORNAMENTO
2012
-
DOCUMENTAZIONE ALLEGATA
copia del provvedimento di tutela (1)
-
DOCUMENTAZIONE GRAFICA
mappa catastale (1)
- LICENZA METADATI CC-BY 4.0