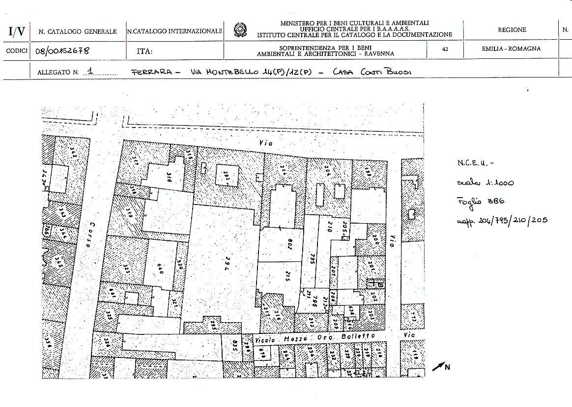
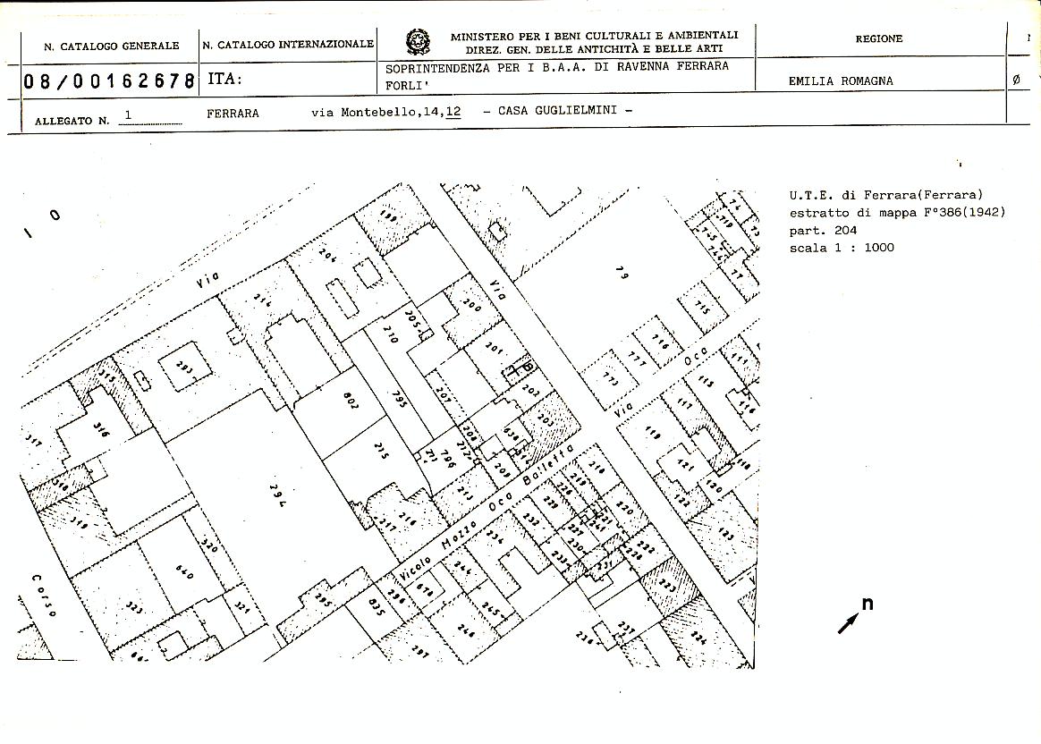
Casa Conti Buosi
Ferrara,
ca XVI - ultimo quarto-XX
- OGGETTO casa-privata
- LOCALIZZAZIONE Ferrara (FE) - Emilia Romagna , ITALIA
- TIPOLOGIA SCHEDA Architettura
-
CONDIZIONE GIURIDICA
proprietà privata
- CODICE DI CATALOGO NAZIONALE 0800162678
- ENTE COMPETENTE PER LA TUTELA Soprintendenza Archeologia, belle arti e paesaggio per la citta' metropolitana di Bologna e le province di Modena, Reggio Emilia e Ferrara
- ENTE SCHEDATORE Soprintendenza per i Beni Architettonici e Paesaggistici per le province di Ravenna Ferrara Forli'-Cesena e Rimini
- LICENZA METADATI CC-BY 4.0