piazza Muccioli
Sanremo,
inizio XIX - inizio XIX
- OGGETTO piazza
- AMBITO CULTURALE Maestranze Locali
- LOCALIZZAZIONE Sanremo (IM) - Liguria , ITALIA
- INDIRIZZO Piazza Vincenzo Muccioli, Sanremo (IM)
- TIPOLOGIA SCHEDA Architettura
-
CONDIZIONE GIURIDICA
proprietà ente pubblico territoriale
- CODICE DI CATALOGO NAZIONALE 0700210450
- ENTE COMPETENTE PER LA TUTELA Soprintendenza Archeologia Belle Arti e Paesaggio per le province di Imperia e Savona
- ENTE SCHEDATORE Soprintendenza per i Beni Architettonici e Paesaggistici della Liguria
- DATA DI COMPILAZIONE 2014
-
DATA DI AGGIORNAMENTO
2015
-
DOCUMENTAZIONE ALLEGATA
copia del provvedimento di tutela (1)
-
DOCUMENTAZIONE GRAFICA
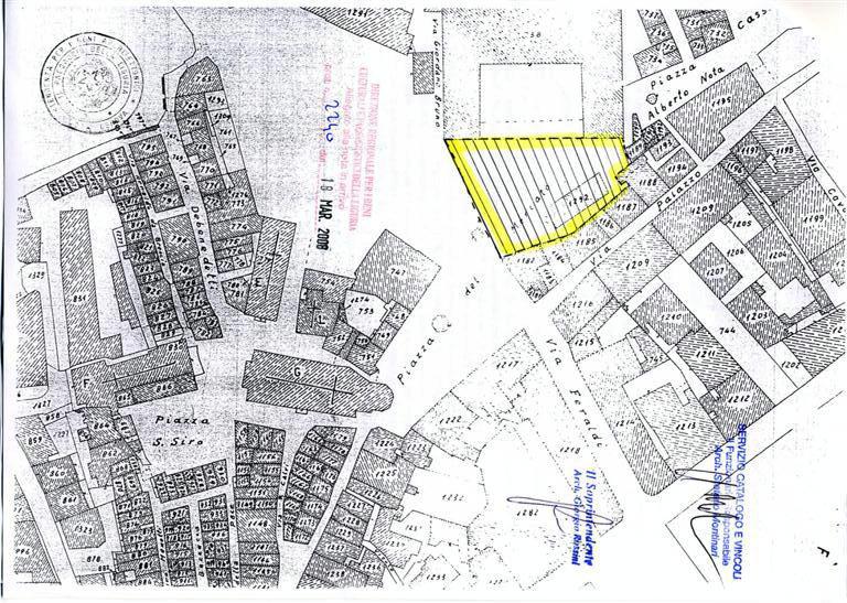
estratto di mappa catastale (1)
- LICENZA METADATI CC-BY 4.0