TERME DI ALBINTIMILIUM (impianto termale, luogo ad uso pubblico)
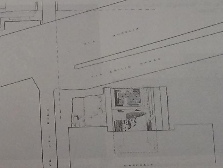
Le terme pubbliche della città romana di Albintimilium si estendono per una superficie presunta di circa 2000 mq; il settore urbano, dove si inserisce la porzione scavata del complesso termale, risulta interessata da una prolungata attività costruttiva, di cui permangono resti datati alla primissima età imperiale con ulteriori trasformazioni a partire da età flavia (seconda metà del I secolo d.C.), quando vengono costruite le attuali murature, anche se sembra che la funzione ad uso termale di questi vani sia frutto di un intervento di ristrutturazione databile nel corso del II e III secolo d.C. L’abbandono del complesso con crolli e con sovrapposta frequentazione con sepolture, sembra da iscriversi tra IV e V secolo d.C. (cfr. Gambaro L., Costa S.,Chierici S., in Archeologia in Liguria V, 2015, pp.119.121). La porzione occidentale dell'impianto termale è costituita da due piccoli vani affiancati (denominati V e VII) aventi funzione di praefurnia, raggiungibili da scale in murature e collegati (verso sud) ad altri due ambienti (denominati I e II), di maggiori dimensioni, con funzione di calidaria e riscaldati grazie alla presenza di una intercapedine sottostante i pavimenti (ipocausta), alla quale veniva fatta affluire l’aria calda proveniente dai relativi praefurnia. Mentre del vano II è certa la funzione di piscina ad acqua calda con resti di sedile e con le pareti rivestite con tubuli cavi e rifinite con lesene baccellate e cornice sommitale floreale a rilievo, meno sicura è la destinazione d’uso del vicino ambiente I, che sebbene presenti anch’esso una serie di suspensurae (colonnette in laterizio) che sorreggevano il pavimento in mattoni, non sembra finalizzato ad ospitare vasche. A nord dei due suddetti praefurnia concludono la parte, fino ad ora scavata, altri due vani (VI ed VIII) forse con funzioni di servizio (spogliatoi o sale massaggi). Anche ad ovest delle terme dove si apriva un vasto cortile scoperto, forse con funzione di palestra, sono state trovate tracce di urbanizzazione più antica, riferibili sia ai resti di una domus forse augustea sia a murature in puddinga, che formano un grande ambiente quadrangolare, databile ad età tardo-repubblicano forse con funzione difensiva. Nei pressi è stato portato alla luce anche un lungo tratto delle mura tardo-repubblicane (vedi Scheda 0700309242). Un secondo settore delle terme, che si estende presso l’ingresso dell’ex ospedale di Santo Spirito, poco più ad est dell’Antiquarium, consta di due vani, con pavimento a mosaico, dei quali quello settentrionale, interpretato come una piscina, presenta ancora un sedile rivestito di lastre marmoree e un condotto di scarico, nonché un mosaico formato da 32 quadrati campiti con motivi floreali e geometrici, mentre quello meridionale è occupato da un grande mosaico figurato con Nereide su delfino in mezzo a paesaggio marino (Mosaico di Arione). L’altro ambiente a causa della presenza di ipocausto con suspensurae è interpretabile come un calidarium. Nell'Antiquarium, ad esemplificazione della ricca decorazione marmorea del grande impianto termale, è presentato un campionario dei diversi marmi impiegati, alcuni elementi costruttivi in terracotta ed intonaci che ci permettono di avere un’idea della ricchezza dei pavimenti e delle pareti dei vani termali
- OGGETTO impianto termale
-
CLASSIFICAZIONE
luogo ad uso pubblico
- LOCALIZZAZIONE Ventimiglia (IM) - Liguria , ITALIA
- INDIRIZZO Corso Genova 134, Ventimiglia (IM)
- TIPOLOGIA SCHEDA Monumenti archeologici
-
CONDIZIONE GIURIDICA
proprietà mista pubblica/privata
- CODICE DI CATALOGO NAZIONALE 0700309320
- ENTE COMPETENTE PER LA TUTELA Soprintendenza Archeologia Belle Arti e Paesaggio per le province di Imperia e Savona
- ENTE SCHEDATORE Soprintendenza Archeologia della Liguria
- DATA DI COMPILAZIONE 2015
-
DATA DI AGGIORNAMENTO
2016
- LICENZA METADATI CC-BY 4.0